Einfamilienhaus
Fasanenweg 2, 84056 Rottenburg an der Laaber
450.000 €




































Fasanenweg 2, 84056 Rottenburg an der Laaber
Premium-Feature
7 Tage kostenlos TestenLeichte Feuchtigkeitsschäden im Kellerbereich. Sanierungsbedarf an der Außenfassade.
Premium-Feature
7 Tage kostenlos TestenGrundschuld zugunsten der Sparkasse München. Hypothek über 150.000 €.
Premium-Feature
7 Tage kostenlos TestenPremium-Feature
7 Tage kostenlos TestenPremium-Feature
7 Tage kostenlos TestenDas Gebäude befindet sich in einem guten Zustand. Die Fassade wurde vor kurzem renoviert und zeigt keine größeren Mängel. Das Dach ist intakt und wurde 2018 erneuert.
Die Innenräume sind gepflegt und modernisiert. Böden in gutem Zustand, Elektrik entspricht aktuellen Standards. Küche und Badezimmer wurden vor 5 Jahren erneuert.
Die Innenräume sind gepflegt und modernisiert. Böden in gutem Zustand, Elektrik entspricht aktuellen Standards. Küche und Badezimmer wurden vor 5 Jahren erneuert.
Premium-Feature
7 Tage kostenlos TestenMassivbauweise aus dem Jahr 1985. Ziegeldach mit Betondachsteinen. Keller vorhanden und trocken. Fundament in gutem Zustand ohne erkennbare Setzungsrisse.
Regelmäßige Wartung und Pflege erkennbar. Heizungsanlage wurde 2020 gewartet. Fassade in gutem Zustand, letzte Renovierung 2019. Dachrinnen und Fallrohre intakt.
Energetische Sanierung 2018 durchgeführt. Neue Fenster mit Dreifachverglasung installiert. Dämmung der Außenwände nach EnEV-Standard erneuert.
Keine bekannten Baulasten eingetragen. Grundbuch zeigt keine Belastungen bezüglich Baubeschränkungen oder Durchfahrtsrechte.
Premium-Feature
7 Tage kostenlos TestenAuszug aus dem
Gutachten
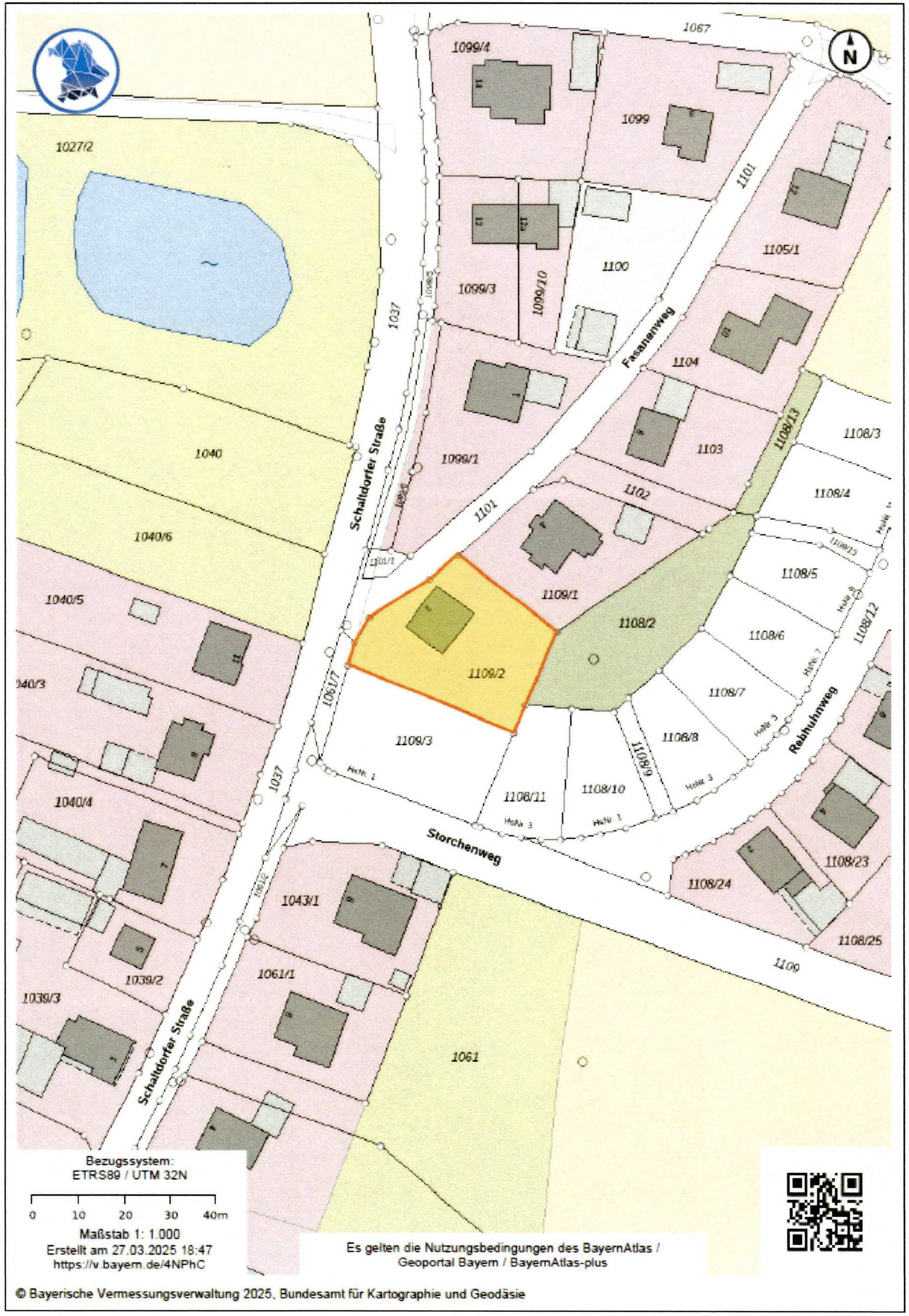
des Sachverständigen über den Verkehrswert für das Einfamilienhaus in 84056 Rottenburg an der Laaber, Fasanenweg 2
Wertermittlungsstichtag: 21.03.2025
Verkehrswert: 450.000 €
Grundstücksbeschreibung
Mikrolage: Der Gemeindeteil Gisseltshausen schließt im Nordwesten an das Stadtgebiet von Rottenburg an und liegt rd. 1 km vom Stadtzentrum entfernt. Das zu bewertende Anwesen liegt im Nordteil von Gisseltshausen, östlich der Schaltdorfer Straße, in einer relativ neuem Wohnbausiedlung. Die umliegende Bebauung besteht überwiegend aus freistehenden Einfamilienhäusern, unmittelbar im Süden und Osten sind noch unbebaute Grundstücke vorhanden. Weiter nördlich (rd. 130 m Entfernung) grenzen landwirtschaftliche Flächen an. Im Westen, nach rd. 250 m (Luftlinie) befindet sich die örtliche Altstoffsammelstelle und die Kläranlage.
Die Wohnlage ist aufgrund des Durchfahrtsverkehrs der unmittelbar westlich vorbeiführenden Schaltdorfer Straße geringfügig beeinträchtigt. Das Verkehrsaufkommen am Fasanenweg beschränkt sich auf Anlieger.
Topographie: Das Gelände steigt leicht, um rd . 1,5 m nach Osten an.
Erschließungszustand: Das Grundstück ist ortsüblich durch den ausgebauten Fasanenweg (asphaltierte Straßendecke, kein Gehweg) sowie durch Kanal, Wasser und Strom erschlossen. Es bestehen offene Forderungen betreffend diverser Erschließungskosten.
Gebäudebeschreibung
Bauzeit und grundrissliehe Gliederung Gemäß den vorliegenden Unterlagen und Auskunft beim Ortstermin wurde das Einfamilienhaus als Fertighaus in Holzständerbauweise des Herstellers "MASSAHAUS" im Jahr 2020 errichtet.
Das Wohngebäude wurde nicht fertiggestellt (zum Wertermittlungsstichtag: fortgeschrittener Rohbauzustand mit Dach inklusive Dachdeckung, montierten Fenstern und Haustüre). Im Innenbereich wurde die Treppe zum Dachgeschoss errichtet, die Haus-Elektrik und die sanitären Anschlüsse sind Großteils installiert. Es fehlt der gesamte Innenausbau (u .a. Estrich, Bodenbeläge, Decken- und Wandfertigstellung inkl. Anstrich, Sanitäreinrichtung, Innentüren),
die Heizungsanlage und Fußbodenheizung. Das Wohngebäude ist nicht unterkellert und besteht aus Erdgeschoss und ausgebautem Dachgeschoss.
Wohnfläche It. Anlage nach Fertigstellung rd. 157 m²
Bauliche Ausführung
Grundkonstruktion: Fertighaus in Holzständerbauweise mit Kerndämmung (Fabrikat MASSAHAUS); Betonbodenplatte; Aufbau der Umfassungs- und Zwischenwände: Holzrahmenbau mit Gipsfaserplatten, Dämmung und Abdichtung (Wandstärke der Umfassungswände d =34,6 cm), It. Plan.
Decken: Holzbalkendecken.
Dach: Satteldach mit Pfannendeckung, Regenrinnen und Fallleitungen aus verzinktem Blech.
Treppen: Holzwangentreppe, Holzgeländer mit Metallstabsausfachung; Holzeinschubtreppe zum Dachspitz (noch nicht montiert).
Fenster: Überwiegend bodentiefe Kunststofffenster mit Dreifachisolierverglasung (im DG mit Stahlabsturzsicherungen, sog. französische Balkone), Alufensterbleche außen; Rollos (vermutlich nach Fertigstellung mit Elektrobetrieb ), im DG z.T. Kunststoffdachliegefenster.
Türen: Hauseingangstüre: nach Angabe Leichtmetallkonstruktion mit Isolierglasausschnitt und festverglastem Seitenteil; im Innenbereich: keine Türen.
Böden: Nicht vorhanden.
Decken- und Wandbehandlung Fassade mit verriebenem Putz und Anstrich, im Innenbereich: nicht vorhanden.
Technische Installation
Hausanschlüsse: Das Gebäude ist an die öffentlichen Leitungen für Kanal, Wasser und Strom angeschlossen.
Elektroinstallation: Elektrische Brenn- und Anschlussstellen sind noch nicht installiert.
Sanitärinstallation: Nicht vorhanden.
Heizung: Nicht vorhanden; Anschlüsse und Material für Fußbodenheizung ist vorhanden.
Zubehör: Nicht vorhanden.
Außenanlagen
Die Außenanlagen sind nicht vorhanden.
Beurteilung
Das Grundstück ist mit einem Einfamilienhaus (Fertighaus des Herstellers "MASSAHAUS", Baujahr 2020) bebaut. Wie bereits erläutert, handelt es sich um einen fortgeschrittenen Rohbauzustand.
Folgende Ausbau-Maßnahmen sind noch durchzuführen:
Diese Aufstellung ist nicht fallabschließend.
Die Grundrisskonzeption des Einfamilienwohnhauses ist modern und zeitgemäß. Im Erdgeschoss sind die Wohnräume mit "offener" Küche, ein Arbeitszimmer und ein WC, im Dachgeschoss die Schlafräume und zwei Bäder untergebracht.
Alle Wohn- und Schlafräume sind über bodentiefe Fenster natürlich belichtet und belüftet.
Premium-Feature
7 Tage kostenlos TestenAls Eigentümer können Sie uns zusätzliche Informationen zu Ihrer Immobilie zur Verfügung stellen, die potentiellen Interessenten helfen könnten. Dies kann sich positiv auf das Versteigerungsergebnis auswirken.
Kontaktieren Sie uns per E-Mail unter info@zvgscout.com mit dem Kennzeichen: 3 K 2-25 Amtsgericht Landshut.
(Berechnet auf Basis des Verkehrswerts als Zuschlagswert)
(verzinster Betrag: 405.000 €)
Alle Angaben und Berechnungen von ZvgScout sind ohne Gewähr.
Detaillierte Kostenaufstellung & Rechner
Musterstraße 12, 12345 Musterstadt
Supermarkt
Schulweg 8, 12345 Musterstadt
Schule
Bahnhofsplatz 1, 12345 Musterstadt
ÖPNV
Alle oben gemachten Angaben ohne Gewähr. ZvgScout übernimmt keine Haftung für die Richtigkeit und Vollständigkeit der dargestellten Informationen.
Weitere Einfamilienhaus in ähnlicher Preisklasse