Einfamilienhaus
Missloh 2, 29369 Ummern
53.100 €












Missloh 2, 29369 Ummern
Premium-Feature
7 Tage kostenlos TestenLeichte Feuchtigkeitsschäden im Kellerbereich. Sanierungsbedarf an der Außenfassade.
Premium-Feature
7 Tage kostenlos TestenGrundschuld zugunsten der Sparkasse München. Hypothek über 150.000 €.
Premium-Feature
7 Tage kostenlos TestenPremium-Feature
7 Tage kostenlos TestenPremium-Feature
7 Tage kostenlos TestenDas Gebäude befindet sich in einem guten Zustand. Die Fassade wurde vor kurzem renoviert und zeigt keine größeren Mängel. Das Dach ist intakt und wurde 2018 erneuert.
Die Innenräume sind gepflegt und modernisiert. Böden in gutem Zustand, Elektrik entspricht aktuellen Standards. Küche und Badezimmer wurden vor 5 Jahren erneuert.
Die Innenräume sind gepflegt und modernisiert. Böden in gutem Zustand, Elektrik entspricht aktuellen Standards. Küche und Badezimmer wurden vor 5 Jahren erneuert.
Premium-Feature
7 Tage kostenlos TestenMassivbauweise aus dem Jahr 1985. Ziegeldach mit Betondachsteinen. Keller vorhanden und trocken. Fundament in gutem Zustand ohne erkennbare Setzungsrisse.
Regelmäßige Wartung und Pflege erkennbar. Heizungsanlage wurde 2020 gewartet. Fassade in gutem Zustand, letzte Renovierung 2019. Dachrinnen und Fallrohre intakt.
Energetische Sanierung 2018 durchgeführt. Neue Fenster mit Dreifachverglasung installiert. Dämmung der Außenwände nach EnEV-Standard erneuert.
Keine bekannten Baulasten eingetragen. Grundbuch zeigt keine Belastungen bezüglich Baubeschränkungen oder Durchfahrtsrechte.
Premium-Feature
7 Tage kostenlos TestenSatteldach mit unbestimmter Dacheindeckung (Bildmaterial deutet auf Ziegel oder ähnliches).
Heizung: Separater Hausanschluss- / Heizungsraum (Details zur Heizungsart fehlen).
Elektroinstallation vorhanden (keine Details).
Böden und Fenster: Keine expliziten Angaben aus Unterlagen, fotobasierte Hinweise auf ältere Ausführung.
Sanitärausstattung: Ein Bad im Erdgeschoss (ca. 5,2 m²), Zustand und Ausstattung nicht näher beschrieben.
Das Objekt wurde anhand der zur Verfügung gestellten Bauunterlagen bewertet. Zusätzlich liegen fotografische Aufnahmen des Außenbereichs und einzelner Räume vor. Eine vollständige Innenbesichtigung fand nicht statt.
Das Einfamilienhaus wurde vermutlich in traditioneller Bauweise errichtet. Genaue Angaben zum Baujahr fehlen, jedoch lassen die Bilder und Bauunterlagen eine einfachere, ältere Bauweise vermuten. Das Gebäude verfügt über ein Erdgeschoss und ein Dachgeschoss. Die Wohnfläche beträgt insgesamt rund 92,4 m²; die Bruttogrundfläche etwa 195 m².
Im Erdgeschoss befinden sich Flur (~6 m²), Bad (~5,2 m²), Zimmer 1 (~19,5 m²), Küche (~14,2 m²), Zimmer 2 (~12,5 m²) und ein Hauswirtschaftsraum (~5 m²), zusammen etwa 62,4 m². Das Dachgeschoss umfasst Flur (~5 m²), einen Wohnbereich (~18 m²) und Zimmer 3 (~7 m²), zusammen ca. 30 m².
Der Grundriss ist zweckmäßig, mit zentralem Flur, kompakten Nebenräumen sowie überschaubaren Zimmergrößen. Die Belichtung erfolgt im Wesentlichen über normale Fensterflächen, teilweise verschattet durch Bewuchs (laut Fotos). Eine Denkmaleigenschaft besteht nach der Aktenlage nicht. Die Bausubstanz und der Zustand lassen auf Instandhaltungsstau und Instandsetzungsbedarf schließen. Das Objekt wirkt auf den Fotos im Außenbereich ungepflegt, partiell sanierungsbedürftig (u.a. ruinöse Überdachung am Eingang).
Auf dem Grundstück befinden sich ruinöse Geräteschuppen im südöstlichen Bereich. Diese erscheinen anhand der Fotodokumentation baufällig und haben nur noch untergeordnete Bedeutung.
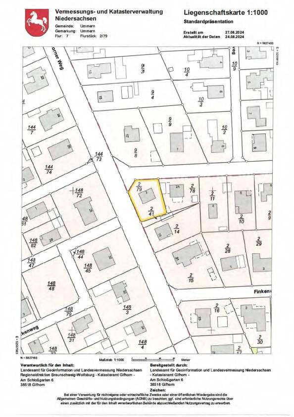
Das Grundstück liegt in der Flur 7, Flurstück 2/79 und ist laut Bodenrichtwertkarte als baureifes Land (Wohnbaufläche) ausgewiesen. Es ist annähernd rechteckig zugeschnitten und liegt auf der östlichen Seite einer Anliegerstraße. Die Grundstücksfläche ist dem Dokument nicht direkt zu entnehmen. Der Bewuchs besteht teils aus Bäumen und Sträuchern, in Teilbereichen ungepflegt. Die Topografie ist vermutlich eben, keine speziellen Hinweise auf Hanglagen.
Zum Wertermittlungs-Stichtag war das Objekt nicht eindeutig hinsichtlich der Nutzung beschrieben. Hinweise auf eine bestehende Vermietung oder Eigennutzung liegen nicht vor; augenscheinlich ist eine Leerstandsannahme realistisch.
Satteldach mit unbestimmter Dacheindeckung (Bildmaterial deutet auf Ziegel oder ähnliches).
Heizung: Separater Hausanschluss- / Heizungsraum (Details zur Heizungsart fehlen).
Elektroinstallation vorhanden (keine Details).
Böden und Fenster: Keine expliziten Angaben aus Unterlagen, fotobasierte Hinweise auf ältere Ausführung.
Sanitärausstattung: Ein Bad im Erdgeschoss (ca. 5,2 m²), Zustand und Ausstattung nicht näher beschrieben.
Eingetragen im Grundbuch von: Ummern Blatt 476
Flurstück 2/79, Flur 7,
Gebäude- und Freifläche, Missloh 2, Größe: 611 m²
Einfamilienhaus
Verkehrswert €: 53.100,00
Premium-Feature
7 Tage kostenlos TestenAls Eigentümer können Sie uns zusätzliche Informationen zu Ihrer Immobilie zur Verfügung stellen, die potentiellen Interessenten helfen könnten. Dies kann sich positiv auf das Versteigerungsergebnis auswirken.
Kontaktieren Sie uns per E-Mail unter info@zvgscout.com mit dem Kennzeichen: 5 K 10-24-einfamilienhaus-sanierungsbeduerftig-1126519.
(Berechnet auf Basis des Verkehrswerts als Zuschlagswert)
(verzinster Betrag: 47.790 €)
Alle Angaben und Berechnungen von ZvgScout sind ohne Gewähr.
Detaillierte Kostenaufstellung & Rechner
Musterstraße 12, 12345 Musterstadt
Supermarkt
Schulweg 8, 12345 Musterstadt
Schule
Bahnhofsplatz 1, 12345 Musterstadt
ÖPNV
Alle oben gemachten Angaben ohne Gewähr. ZvgScout übernimmt keine Haftung für die Richtigkeit und Vollständigkeit der dargestellten Informationen.