Einfamilienhaus
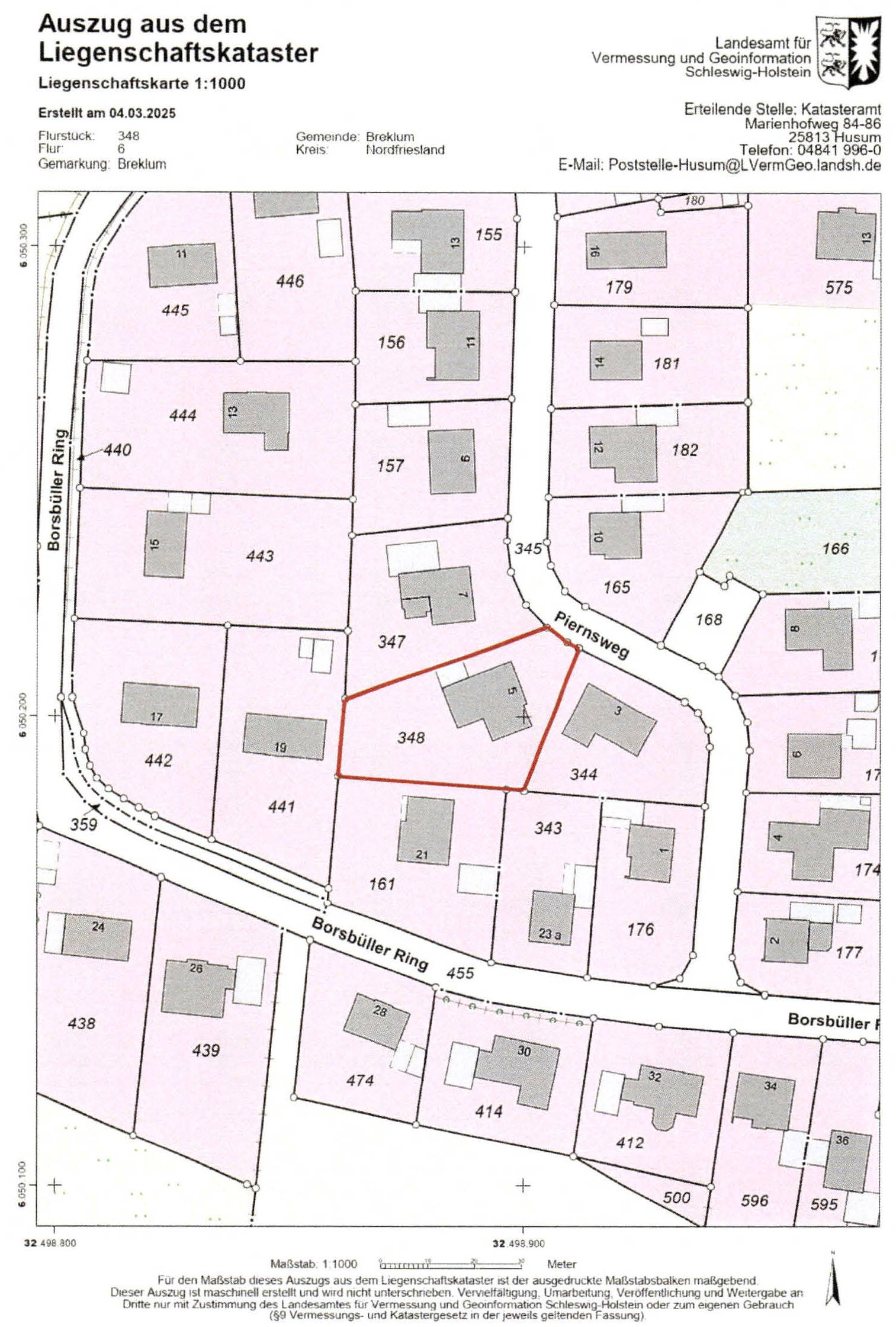
Piernsweg 5, 25821 Breklum
339.000 €
















Piernsweg 5, 25821 Breklum
Premium-Feature
7 Tage kostenlos TestenLeichte Feuchtigkeitsschäden im Kellerbereich. Sanierungsbedarf an der Außenfassade.
Premium-Feature
7 Tage kostenlos TestenGrundschuld zugunsten der Sparkasse München. Hypothek über 150.000 €.
Premium-Feature
7 Tage kostenlos TestenPremium-Feature
7 Tage kostenlos TestenPremium-Feature
7 Tage kostenlos TestenDas Gebäude befindet sich in einem guten Zustand. Die Fassade wurde vor kurzem renoviert und zeigt keine größeren Mängel. Das Dach ist intakt und wurde 2018 erneuert.
Die Innenräume sind gepflegt und modernisiert. Böden in gutem Zustand, Elektrik entspricht aktuellen Standards. Küche und Badezimmer wurden vor 5 Jahren erneuert.
Die Innenräume sind gepflegt und modernisiert. Böden in gutem Zustand, Elektrik entspricht aktuellen Standards. Küche und Badezimmer wurden vor 5 Jahren erneuert.
Premium-Feature
7 Tage kostenlos TestenMassivbauweise aus dem Jahr 1985. Ziegeldach mit Betondachsteinen. Keller vorhanden und trocken. Fundament in gutem Zustand ohne erkennbare Setzungsrisse.
Regelmäßige Wartung und Pflege erkennbar. Heizungsanlage wurde 2020 gewartet. Fassade in gutem Zustand, letzte Renovierung 2019. Dachrinnen und Fallrohre intakt.
Energetische Sanierung 2018 durchgeführt. Neue Fenster mit Dreifachverglasung installiert. Dämmung der Außenwände nach EnEV-Standard erneuert.
Keine bekannten Baulasten eingetragen. Grundbuch zeigt keine Belastungen bezüglich Baubeschränkungen oder Durchfahrtsrechte.
Premium-Feature
7 Tage kostenlos TestenAuszug aus dem
Gutachten
des Sachverständigen über den Verkehrswert für das mit einem Einfamilienhaus bebaute Grundstück in 25821 Breklum, Piernsweg 5
Wertermittlungsstichtag: 04.04.2025
Verkehrswert: 339.000 € (in Terminsbestimmung: 169.500,00€ je 1/2 Miteigentumsanteil)
Grundstücksbeschreibung
innerörtliche Lage: Geschäfte des täglichen Bedarfs in fußläufiger Entfernung; Schulen und Ärzte in Breklum (Grundschule), Bredstedt, Husum; öffentliche Verkehrsmittel (Bushaltestelle) in fußläufiger Entfernung; Verwaltung (Stadtverwaltung) in Bredstedt (ca. 2,5 km entfernt); mittlere Wohnlage
Art der Bebauung und Nutzungen in der Straße und im Ortsteil: überwiegend wohnbauliche Nutzungen
Erschließung, Baugrund etc.
Straßenart: Wohnstraße; Straße mit geringem Verkehr
Straßenausbau: voll ausgebaut, Fahrbahn aus Asphalt; Gehwege beidseitig vorhanden, befestigt mit Asphalt
Anschlüsse an Versorgungsleitungen und Abwasserbeseitigung: elektrischer Strom, Wasser aus öffentlicher Versorgung; Kanalanschluss
Grenzverhältnisse, nachbarliche Gemeinsamkeiten: überwiegend eingefriedet durch Zaun
Gebäudebeschreibung
Einfamilienhaus
Gebäudeart: Einfamilienhaus; eingeschossig; nicht unterkellert; ausgebautes Dachgeschoss; freistehend
Baujahr: 1976
Modernisierung: Außentüren und Fenster wurden modernisiert. Der Innenausbau wurde modernisiert. Das WC 1 im Erdgeschoss wurde modernisiert. Das Bad im Erdgeschoss wird modernisiert und befindet sich nahezu im Rohbauzustand .
Flächen: Die Wohnfläche beträgt ca. 282,96 m²; die Bruttogrundfläche (BGF) beträgt ca. 398,94 m²
Außenansicht: überwiegend Verblendung in rot; der südöstliche Giebel ist im oberen Bereich teilweise mit Kunstschiefer in anthrazit verkleidet; im Bereich der Terrassenüberdachung sind die Wände mit Holz verkleidet
Raumaufteilung:
Gebäudekonstruktion
Konstruktionsart: Massivbau
Fundamente: Beton
Umfassungswände: Mauerwerk
Innenwände: Mauerwerk, Leichtbauweise
Geschossdecken: Stahlbeton
Treppe: Geschosstreppe: Stahlbeton mit Kunststeinbelag; schmiedeeisernes Geländer, Handlauf mit Kunststoffüberzug
Hauseingang(sbereich): Eingangstür aus Kunststoff, mit Lichtausschnitt, Einbruchschutz
Dach:
Allgemeine technische Gebäudeausstattung
Wasserinstallationen: zentrale Wasserversorgung über Anschluss an das öffentliche Trinkwassernetz
Abwasserinstallationen: Ableitung in kommunales Abwasserkanalnetz
Elektroinstallation: durchschnittliche Ausstattung
Heizung: Zentralheizung, mit flüssigen Brennstoffen (Öl), Baujahr 1996
Warmwasserversorgung: zentral über Heizung
Raumausstattungen und Ausbauzustand
Bodenbeläge
Wandbekleidungen
Deckenbekleidungen
Fenster: Fenster aus Kunststoff mit Zweifachverglasung; Terrassentür mit Dreifachverglasung
Türen:
Sanitäre Installation
Küchenausstattung
Besondere Bauteile I Einrichtungen, Zustand des Gebäudes
besondere Bauteile: Terrassenüberdachung, Kaminofen
besondere Einrichtungen: Einbauküche im Erdgeschoss, Einbauküche im Dachgeschoss
Besonnung und Belichtung: gut bis ausreichend
(Bauschäden, Baumängel) Restarbeiten: das Bad im Erdgeschoss befindet sich nahezu im Rohbauzustand (die Modernisierung wurde eingestellt); kleinere Restarbeiten
Allgemeinbeurteilung: Der bauliche Zustand ist normal.
Garage
Gebäudeart: Garage; eingeschossig; mit Anbau
Baujahr: 1976
Flächen: die Bruttogrundfläche (BGF) beträgt ca. 45,95 m²
Außenansicht: Verblendung in rot, Holzverkleidung
Raumaufteilung: ehem. Garage (Nutzung als Abstellraum), Abstellraum
Gebäudekonstruktion
Konstruktionsart: Massivbau, Holzkonstruktion (Abstellraum)
Fundamente: Beton
Umfassungswände: Mauerwerk, Holzbauweise
Innenwände: Mauerwerk
Hauseingang(sbereich): Eingangstür aus Kunststoff
Dach:
Allgemeine technische Gebäudeausstattung
Wasserinstallationen: zentrale Wasserversorgung über Anschluss an das öffentliche Trinkwassernetz
Abwasserinstallationen: Ableitung in kommunales Abwasserkanalnetz
Elektroinstallation: einfache Ausstattung
Raumausstattungen und Ausbauzustand
Bodenbeläge: Fliesen
Wandbekleidungen: Anstrich, OSB
Deckenbekleidungen: Anstrich, Paneele
Fenster: Fenster aus Kunststoff mit Isolierverglasung
Türen:
sanitäre Installation: Garage: 1 Waschbecken
Besondere Bauteile, Zustand des Gebäudes
besondere Bauteile: Unterstand an der Rückseite der Garage ca. 4,75 x 2,00 m
Bauschäden und Baumängel: keine wesentlichen erkennbar
Allgemeinbeurteilung: Der bauliche Zustand ist normal.
Außenanlagen
Versorgungs- und Entwässerungsanlagen vom Hausanschluss bis an das öffentliche Netz, Wegbefestigung, Hofbefestigung, Terrasse, Gartenanlagen und Pflanzungen, Einfriedung (Zaun), Gartenhaus aus Holzbohlen mit Kunststofftür und -fenstern, Dacheindeckung Pfannenblech, Dachrinnen aus Kunststoff
Premium-Feature
7 Tage kostenlos TestenAls Eigentümer können Sie uns zusätzliche Informationen zu Ihrer Immobilie zur Verfügung stellen, die potentiellen Interessenten helfen könnten. Dies kann sich positiv auf das Versteigerungsergebnis auswirken.
Kontaktieren Sie uns per E-Mail unter info@zvgscout.com mit dem Kennzeichen: 6 K 17-24.
(Berechnet auf Basis des Verkehrswerts als Zuschlagswert)
(verzinster Betrag: 305.100 €)
Alle Angaben und Berechnungen von ZvgScout sind ohne Gewähr.
Detaillierte Kostenaufstellung & Rechner
Musterstraße 12, 12345 Musterstadt
Supermarkt
Schulweg 8, 12345 Musterstadt
Schule
Bahnhofsplatz 1, 12345 Musterstadt
ÖPNV
Alle oben gemachten Angaben ohne Gewähr. ZvgScout übernimmt keine Haftung für die Richtigkeit und Vollständigkeit der dargestellten Informationen.